Archive Record
Images
Metadata
Catalog Number |
2014.019.48 |
Object Name |
Map |
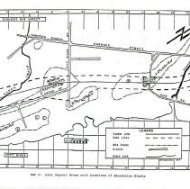
Description |
A series of maps on the Excavation of the Mary Hill Bypass (DhRq 21). Contains details on the layout and the division of excavation blocks. |
Condition |
Good |
